- Millones de personas en alerta mientras los expertos se apresuran a localizar su aterrizaje
- Un pronosticador senior advierte que podría tener un impacto mayor que Narelle
- El sistema podría ser potencialmente el undécimo ciclón de la temporada.
Se ha advertido a millones de habitantes de Queensland que estén en alerta a medida que un ciclón tropical severo se acerca a la costa.
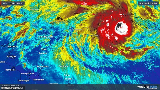
La Oficina de Meteorología confirmó el lunes por la mañana que se espera que el severo ciclón tropical Maila se mueva hacia la costa del extremo norte de Queensland a finales de esta semana después de fortalecerse sobre el Mar de Salomón.
“Las influencias de dirección están equilibradas y se espera que Maila se mueva lentamente sobre el Mar de Salomón antes de moverse hacia el oeste-suroeste el jueves”, dijo el BoM en un comunicado.
“Se espera que Maila se mantenga alejada de la costa de Queensland durante los próximos días, pero cada vez hay más confianza en que Maila se dirigirá hacia la costa del extremo norte de Queensland más adelante en la semana, potencialmente cruzando la costa este fin de semana”.
Según el BoM, Maila es actualmente un ciclón de categoría tres, con vientos sostenidos cerca del centro de 130 kilómetros por hora y ráfagas de viento de hasta 185 kilómetros por hora, lo que conlleva el riesgo de lluvias intensas y posibles inundaciones.
El pronosticador senior del BoM, Baden Gilbert, dijo que el ciclón podría tener un impacto mayor que el ciclón Narelle, que azotó comunidades en el extremo norte de Queensland como un sistema de categoría cuatro el mes pasado.
“Narelle era un sistema un poco más pequeño, muy destructivo, y la zona del vendaval era más pequeña”, dijo.
“Este sistema (Maila) parece un tamaño un poco más normal en comparación con los promedios históricos. Debido a esto, la zona del vendaval podría ser un poco más grande, lo que podría significar que más personas se verían afectadas por estos vientos destructivos”.
Se espera que el severo ciclón tropical Maila toque tierra a finales de esta semana después de fortalecerse sobre el Mar de Salomón.
Se produce semanas después de que el ciclón Narelle azotara comunidades en el extremo norte de Queensland.
Y añadió: “Cuando hablamos de los vientos de este tipo de sistemas meteorológicos, traen precipitaciones significativas, o tienden a provocar precipitaciones significativas a medida que cruzan la costa y se desplazan por la tierra. »
Sin embargo, los meteorólogos aún no han determinado su llegada a tierra, y grandes zonas del extremo norte del estado han recibido advertencias.
“Actualmente existe mucha incertidumbre entre los modelos meteorológicos sobre si un ciclón tropical podría afectar a Queensland durante los próximos siete a diez días”, dijo el meteorólogo de Sky News, Tamsin Green.
“Podría permanecer hacia el oeste y girar hacia el norte alrededor de la península del Cabo York, permaneciendo en el mar”. O podría tocar tierra en el NT, o incluso girar hacia el este y simplemente permanecer en el Mar del Coral.
“Así que definitivamente es algo a tener en cuenta porque muchas cosas podrían cambiar en los próximos días”.
Se espera que el BoM publique el próximo pronóstico sobre la trayectoria del ciclón Maila a las 5 p.m. (AEST) del lunes.
Si Maila toca tierra este fin de semana, será el segundo ciclón que cruce la costa de Queensland en tres semanas, el intervalo más corto entre impactos directos en el estado desde Anthony y Yasi a principios de 2011.
El sistema podría ser potencialmente el undécimo ciclón de la temporada, cerca del promedio, pero al final de la temporada de ciclones tropicales de Australia, que dura hasta finales de abril.
Se espera que el BoM publique el próximo pronóstico sobre la trayectoria del ciclón Maila a las 5 p.m. los lunes.
También es posible que el sistema siga el camino del ciclón Narelle, donde continúan los esfuerzos de limpieza y reparación.
Narelle es sólo la tercera tormenta en la historia que toca tierra como ciclón en tres jurisdicciones australianas, uniéndose a Ingrid (2005) y Steve (2000).
Primero tocó tierra en el extremo norte de Queensland, antes de cruzar al Territorio del Norte y luego a Australia Occidental.



